Sold

PRICE REDUCED!

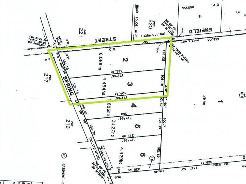
Lot 2 (corner block) 6.089 Ha
Lot 3 (Spring Drive) 4.494 Ha.
Zoning R2 low density residential, these blocks front sealed roads close to township and ideal small rural development where nature is your neighbour on acres of opportunity

11.00 ac
Address Lot , Lot 2 & 3 Spring Drive, Corowa
Price SOLD
Property Type Residential
Property ID 856
Category Vacant Land
Land Area 11.00 ac

Agent Details

Emma Webb photo

Emma Webb

0488362352
View Profile